蜜蜂和黄蜂的区别
蜜蜂大家都知道,尤其在夏天美丽的蜜蜂非常喜欢采蜜,我们也经常在花丛中看到它,对于蜜蜂我们一点也不陌生,而黄蜂呢是昆虫的一种,有着一对完善的翅膀,通常有一个细长、光滑的身体...
2022-12-14 点击查看
中华蜜蜂(中蜂、土蜂)
中华蜜蜂又称中华蜂、中蜂、土蜂,属于东方蜜蜂的一个亚种,是我国独有的蜂种资源,中华蜜蜂的采集力非常强而且采蜜期也很长,具有很高的利用率,所产的蜂蜜、蜂胶、蜂蛹等都可以为众...
2022-12-14 点击查看
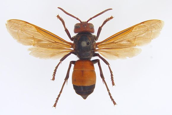
黄腰虎头蜂(黄腰胡蜂)
黄腰虎头蜂是虎头蜂种的一种昆虫,南方俗称的虎头蜂其实就是北方的马蜂,隶属于膜翅目、胡峰科,体型较大,色泽鲜艳,因其蜂腰间有黄色环纹,故称其“黄腰虎头蜂”。
2022-12-14 点击查看
大虎头蜂
中国大虎头蜂,亦叫做“金环胡蜂”,又名:中华大虎头蜂、桃胡蜂、人头蜂、葫芦蜂或马蜂等多种叫法,属膜翅目胡蜂科,是我国虎头蜂品种中最大的一种,也是世界五大毒蜂之一。
2022-12-14 点击查看
黑小蜜蜂
黑小蜜蜂呈黑色,又叫小排蜂,主要分布于我国的云南省和东南亚地区。
2022-12-14 点击查看
东北黑蜂
东北黑蜂是在黑龙江省饶河地区特定的生态环境中,形成的优良地方蜂种。
2022-12-14 点击查看
黑大蜜蜂
黑大蜜蜂是蜜蜂中体积最大的蜂种,由于主产区在喜马拉雅周围的雪山下,岩栖,故俗名又称为喜马拉雅蜜蜂、雪山蜜蜂及岩蜂等。
2022-12-14 点击查看
沙巴蜂
沙巴蜂为蜜蜂科蜜蜂属的一种蜜蜂,该蜂种的体积为中等,其蜂体为铜红色,亦称为红色蜜蜂,在形态和生活习性上与东方蜜蜂相似,但较东方蜜蜂中的印度蜜蜂个体略大。
2022-12-14 点击查看
大蜜蜂
大蜜蜂是蜜蜂属体大的一种,单脾成排,俗称排蜂。
2022-12-14 点击查看
绿努蜂
绿努蜂为蜜蜂属中型体中等的一种,发现于马来西亚的沙巴州绿努山区,因此被称为“绿努蜂”,而又因其体色较深、多为暗黑色,故又被称为“黑色蜜蜂”。
2022-12-14 点击查看

热点阅读
推荐阅读
我国初级农产品目录(初级农产品包括的范围) 我国初级农产品目录(初级农产品包括的范围)

前言:食用农产品是指可供食用的各种植物、畜牧、渔业产品及其初级加工产品。 一、植...

虎头蜂一只价格多少钱? 虎头蜂一只价格多少钱?

虎头蜂,属于胡蜂类,它在每年4-5月产卵,一般能产数千上万枚蜂卵,6-7月形成成...

【蜜蜂知识】马蜂、胡蜂、黄蜂和蜜蜂有什么区别? 【蜜蜂知识】马蜂、胡蜂、黄蜂和蜜蜂有什么区别?

蜜蜂是我们平时比较常见的昆虫,也是蜂类家族的一员,当然,除了蜜蜂,还有黄蜂、马蜂...

蜜源植物的种类及花期大全(十九种主要蜜源植物分布及花期) 蜜源植物的种类及花期大全(十九种主要蜜源植物分布及花期)

我国幅员辽阔,蜜源植物种类高达上万种,能生产蜂蜜的有上百种,但生产大量商品蜜的主...

各种蜂蜜的功效种类一览表(40种不同种类蜂蜜的作用与功效介绍) 各种蜂蜜的功效种类一览表(40种不同种类蜂蜜的作用与功效介绍)

1、洋槐蜜的作用与功效 :又名刺槐蜂蜜、槐花蜂蜜,洋槐蜂蜜含有刺槐苷和挥发油,其...

蜂的种类图谱及名称大全(蜂有多少种类) 蜂的种类图谱及名称大全(蜂有多少种类)

蜂是膜翅目除蚂蚁外昆虫的统称,广泛分布于世界各地,种类超过10万种,尤以蜜蜂和马...

泡桐的拼音读和组词(泡桐拼音的正确读法) 泡桐的拼音读和组词(泡桐拼音的正确读法)

泡桐的读音 泡桐 pāotng(拉丁文名:Paulownia.),即泡桐树,属于...

马蜂的种类有哪些(常见的马蜂种类有几种) 马蜂的种类有哪些(常见的马蜂种类有几种)

马蜂,又称为蚂蜂、胡蜂或黄蜂。体大身长毒性也大,膜翅目细腰亚目(过去称针尾亚目)...

全身黑色的蜜蜂是什么蜂?有毒吗? 全身黑色的蜜蜂是什么蜂?有毒吗?

因为我国养蜂生产上使用的黑色蜂种较多,且常用的3型蜂都为黑色,没有什么区别,因此...